جار التحميل...

mosque
partly-cloudy
°C,
متسبباً في اقتلاع الأشجار والأسقف وتدمير المزارع

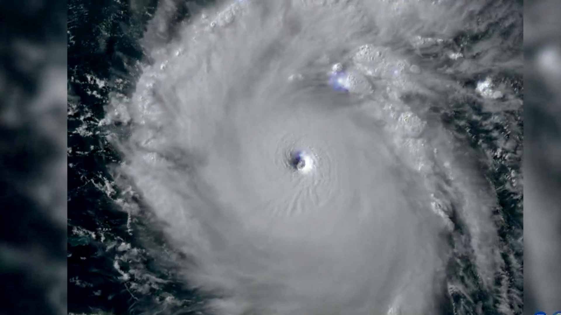
ارتفاع عدد ضحايا إعصار بيريل في جامايكا إلى 9 أشخاص

04 يوليو 2024 / 10:21 AM
صورة بعنوان: ارتفاع عدد ضحايا إعصار بيريل في جامايكا إلى 9 أشخاص
download-img
ارتفع عدد ضحايا إعصار بيريل الذي اجتاح جامايكا أمس الأربعاء، إلى 9 أشخاص على الأقل، حيث ضرب الإعصار الساحل الجنوبي، متسبباً في اقتلاع الأشجار والأسقف وتدمير المزارع، وإجلاء السكان، وإغلاق المطارات في كينجستون وخليج مونتيو السياحي، ومن المتوقع أن يزداد العدد مع عودة الاتصالات في المناطق المتضررة.
الشارقة 24 – أ.ف.ب:

أفاد رئيس وزراء جمهورية جامايكا أندرو مايكل هولنيس، أن عدد ضحايا إعصار بيريل الذي اجتاح جامايكا أمس الأربعاء، ارتفع إلى 9 أشخاص على الأقل، حيث ضرب الإعصار الساحل الجنوبي، متسبباً في اقتلاع الأشجار والأسقف وتدمير المزارع، وإجلاء السكان، وإغلاق المطارات في كينجستون وخليج مونتيو السياحي، ومن المتوقع أن يزداد العدد مع عودة الاتصالات في المناطق المتضررة.

وذكر هولنيس أن حوالي 500 جامايكي فروا إلى الملاجئ، محذراً من أن الأسوأ لم يأت بعد.

وأشار المركز الوطني الأميركي للأعاصير إلى احتمال حدوث سيول وانهيارات طينية مهددة للحياة في معظم أنحاء جامايكا وجنوب هايتي، مع توقع هبوب رياح خطيرة وعواصف في جزر كايمان.
July 04, 2024 / 10:21 AM

الكلمات المفتاحية

أخبار ذات صلة

Rotate For an optimal experience, please
rotate your device to portrait mode.